Labonte Canine Services Banner - German Shepherd Dogs and Dog Training
 

Eddy Zomboch OVC

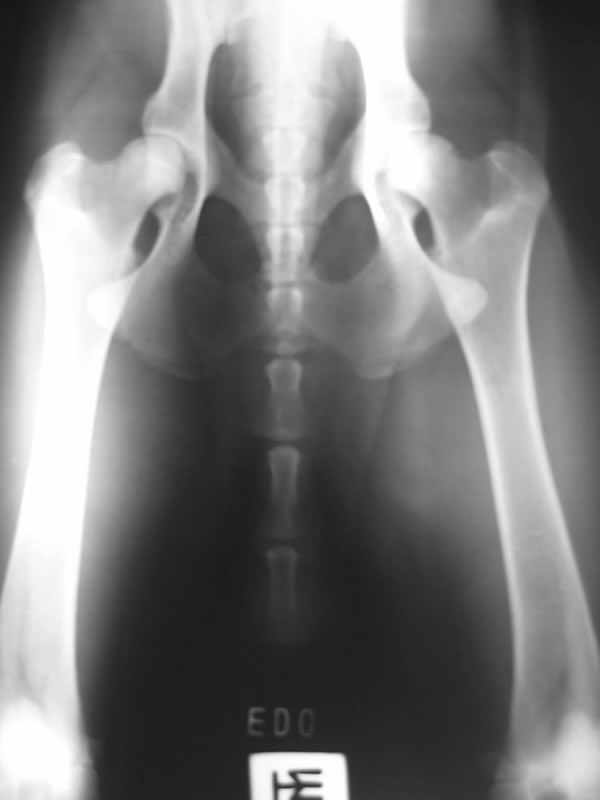
Eddy is a beautiful son of Anouc-Lar Leomegy (Nuky) and Agala Zomboch daughter of top producing stud 6XWUSV 5XFCI Emir Chabet, born December 25, 2003. He is line bred to 2XBSP Troll vom Körbelbach. He is a huge male with a very good temperament. He is good with kids and very tolerant with other animals. He likes bite work, tracking and watching Animal Planet. His obedience on field an off field is coming along very nicely. We took Eddy for his OVC certification and the veterinarian said Eddy has the best hips she's seen in five years on a GSD.

Great grandfather, Ares Gymor, 33rd place at WUSV world championship in Belgium, 1990. Points 92 92 96 total 280. Grandfather, Basko del Cerbero, SG 272 at the Bundesiegerpufug in Ludwigshaqfen, Germany, 1997.

Eddy has a very full bite, very civil and easy to train. He works best with a sensitive handler and seldom needs a correction. Watch for outstanding pups coming from this dog and the top bitches in North America...Eddy is one of the best!!

Videos of Eddy Training


Eddy 1


Eddy 2


Eddy 3


Eddy 4


Eddy 5


Eddy 6

 

Eddy's X-Rays

Eddy's
Pedigree w/ Links to the online
database

Pedigree

SUCHNO


CKC

OVC

Eddy's Papers

 

Copyright © Labonte Canine Services. All rights reserved.
info@labontecanine.com (919-266-6352)